Andricus curvator Hymenoptera: Cynipidae - gall wasp
Andricus curvator

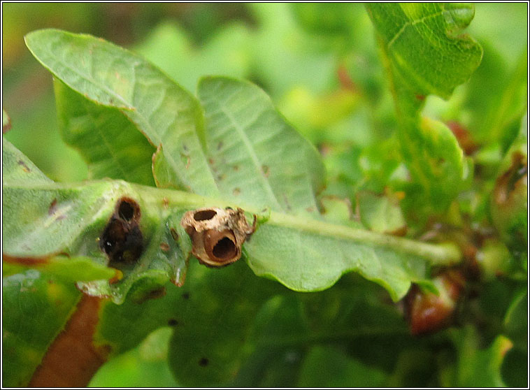
Sexual generation - photographs on Quercus, Oak

Hosts:
Agamic and sexual generations on Quercus canariensis, faginea, petraea, pubescens, pyrenaica, robur

Agamic (parthenogenic) generation forms smooth bud galls on young shoots in late summer. 2-3mm high, often with a white ring below the tip.

Sexual galls usually on leaves (midrib), twigs and at the base of catkins. Gall approx 8mm wide, thin-walled with a small inner gall


Andricus curvator

Andricus curvator

Andricus curvator

Andricus curvator
Andricus curvator
Corfe Mullen, Dorset. August 2017. Ireland, February 2019

All images used are copyright. Please contact me if you find errors.